Waiopae Kapoho Tide Pools (Lost Forever)
About Waiopae Kapoho Tide Pools (Lost Forever) on Hilo & East Island, Hawaii
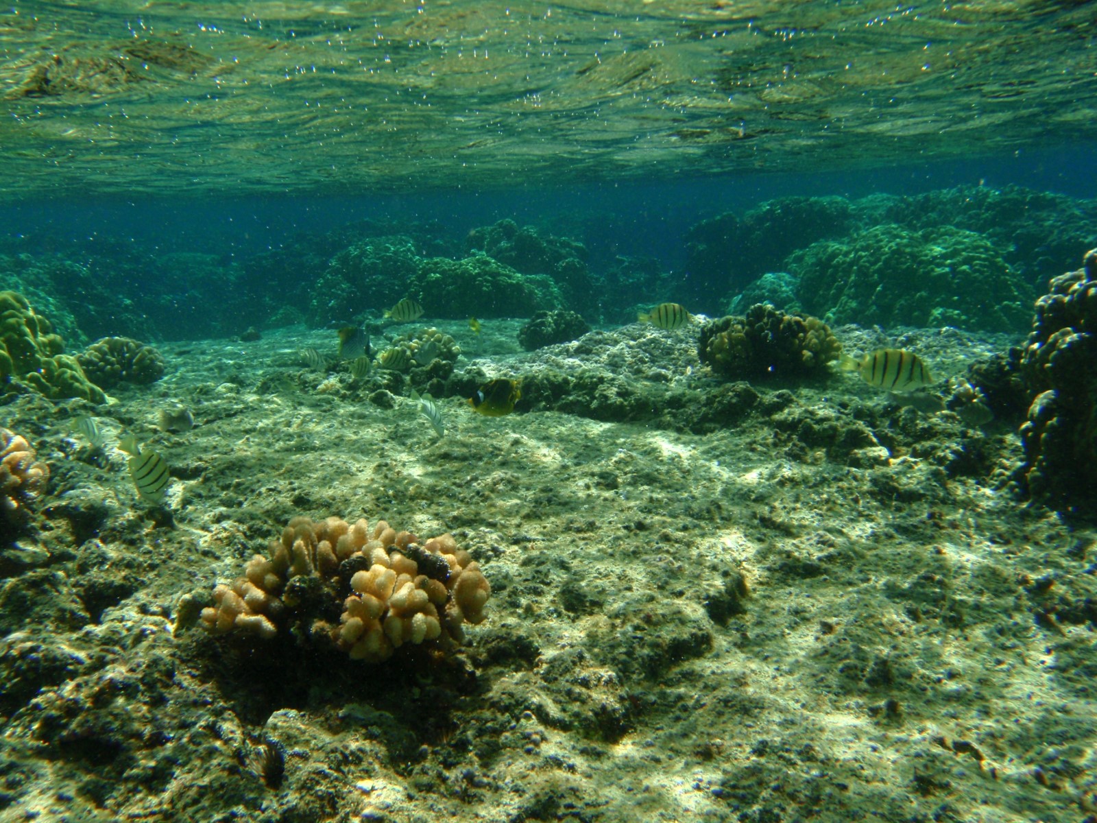
The Wai’opae Tidepools in the Puna District of the Big Island were considered some of the best tidepools on the island. Unfortunately these pools were filled in when the Lower Puna Lava Flow in 2018 covered the entire area around Kapoho Bay, Waiopae, and the housing community of Vacationland. Every home and road near the shore around the point and the bay was lost. The new land created by the lava flow extends about a half mile from the old shoreline where you could get into the tidepools. What a dramatic change and such a sudden loss.
These tidepools were protected by Wai’opae Tidepools Marine Life Conservation District (MLCD). Their protection is no longer needed.
The nearest beaches are at Isaac Hale Beach Park and Cape Kumukahi which both have newly-formed black sand beaches, but they don’t have tidepools.
- Address
- 14-4964 Waiopae Rd
Pahoa, HI 96778 - Phone
- 808.587.0100
- Park Name
- Waiopae Tidepools Marine Life Conservation District (MLCD)
- Other Names
- Wai'opae Ponds, Vacationland Tidepools, Kapoho Point, Kahonua
- Owner
- State
- Fees
- Free parking
- Activities
- No activities
- Amenities
- All amenities and facilities destroyed
Nearby Beaches
Isaac Hale Beach Park (Pohoiki Beach)
2.3 miles away
Pohoiki Beach at Isaac Hale Beach Park is a rocky black sand shoreline that’s off the beaten track. The...
Cape Kumukahi Black Sand Beach
1.5 miles away
Cape Kumukahi is the easternmost end of the Big Island and an area that was covered in lava from...
MacKenzie State Recreation Area
3.9 miles away
MacKenzie State Recreation Area is small forested and beachless state park on the coast of the Puna District. The...
Nearby Attractions
The Boiling Pots & Pe'epe'e Falls
22.3 miles away
The Boiling Pots and the triple waterfall known as Pe’epe’e Falls are a popular stop in the Hilo area....











